Midtown Shopping Center - Prattville, AL
703-719 E Main Street
Prattville, AL 36067
Highlights
- High Volume Winn Dixie Anchor (adjacent, NIC)
- Great visibility & Access
- Traffic Light at Main Entrance
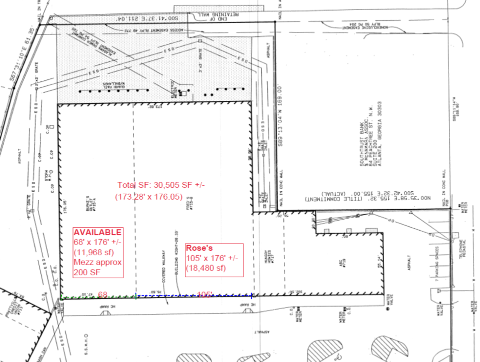
- 30,505 SF Anchor Space Available. Can be divided.
- Surrounding businesses include: Winn Dixie, CVS, Fast Pace Medical, Rent-A-Center, Pizza Hut, ABC, Panda Inn
- Midtown Info Link: https://realestatesoutheast.com/properties/?propertyId=Space-Available-Prattville-Alabama
Description
Midtown Shopping Center is busy shopping center connected to a high performing 60K SF Winn Dixie (NIC). The property is centrally located in the heart of Prattville, Alabama serving a growing Autauga County market. Located on Main Street with a traffic lighted entrance Midtown Shopping Center benefits from high traffic due to its attachment to one of the highest grossing Winn Dixie grocery stores in Alabama. Adjacent / nearby retailers include; CVS, Aaron's, Dollar General, Little Caesars, Fast Pace, Wendy's, Taco Bell, Hardees, Walgreens, Advance Auto Parts, etc.
Please see Midtown Info Link: https://realestatesoutheast.com/properties/?propertyId=Space-Available-Prattville-Alabama
Midtown Shopping Center is centrally located in Prattville, Alabama with easy access to the growing Autauga County market. With above average median household income and median home values and unemployment well below state averages, Prattville has a growing economy bolstered by manufacturing and retail.
Documents
Lease Brochure (L)Units for Lease
Price Per Sqft/Year: $16.00 - $18.00
Price Per Sqft/Year: $8.00 - $10.00
Price Per Sqft/Year: $8.00 - $10.00

