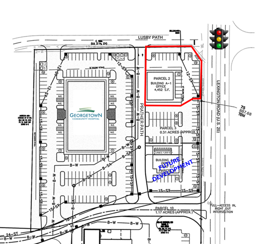
Parkview Plaza Retail Building
100 Prather Path
Georgetown , KY 40324
FOR LEASE
Property Type:
Street RetailAmount:
Please Call Broker for PriceLast Verified:
Jun 12, 2025Daily Email Blast
0 times
Highlights
- New Construction Retail Building
- Great access and visibility from Lexington Road
- Located within the Parkview Plaza development, featuring Aldi and a new 45,000 SF Class-A Medical Office Building anchored by Georgetown Community Hospital (currently leasing 30,000 SF)
- Situated at the signalized intersection of Lexington Road and Lusby Path (combined traffic count of +/-33,489 VPD)
- Direct access to nearby Kroger Marketplace development; +/-2M annual visitors per Placer.ai
- Rental Rate: Contact Agent
Description
NAI Isaac is pleased to present retail leasing opportunities in the new Parkview Plaza Development in Georgetown.
Georgetown is the 8th fastest growing city in Kentucky with a population growth rate of 11% over a five year period. Both Georgetown and Scott County have experienced employment increases. The well-established horse industry, recent expansion to several of the local manufacturing companies, the firm commitment of the Toyota Motor Manufacturing plant, the new 125,000 sf Kroger Marketplace and new high school shows steady growth for Georgetown and Scott County.
Building Size: 4452sq ft
Lot Size: 0.43 acres
Documents
Parkview Plaza Retail, GeorgetownUnits for Lease
Building
Space Available: 4452 SF
Lease Type: NNN

