2000 West Jefferson Street, Joliet, IL, 60432
2000 West Jefferson Street
Joliet, IL 60432
FOR SALE
Property Type:
Other LandAmount:
Please Call Broker for PriceLast Verified:
Oct 03, 2025Daily Email Blast
0 times
Description
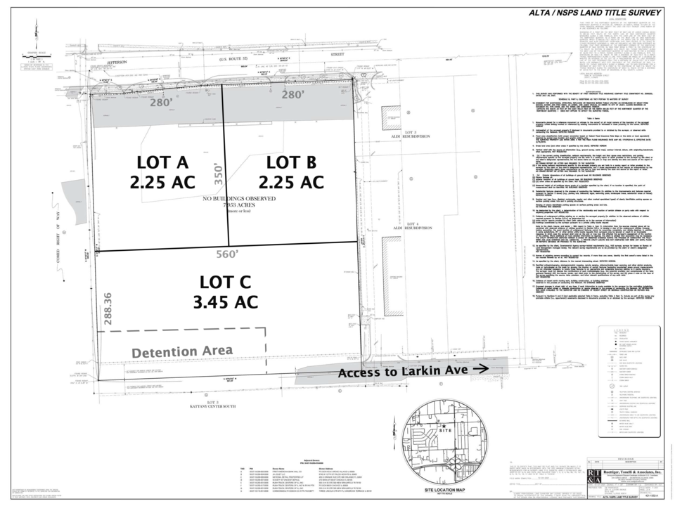
• 7.95 AC with over 560’ of Jefferson St frontage
• May be divisible to accommodate a variety of uses including retail,
restaurant, car dealership and medical
• Potential Industrial zoning on Lot C
• Across the street from re developed grocery anchored development
• Quick access to I-80 interchange within ¾ mile
• Lot A is $11.95 PSF or $1,717,219.50 (Retail)
• Lot B is $11.95 PSF or $1,717,219.50 (Retail)
• Lot C is $4.25 PSF or $638,698 (Industrial)
• Combined Lots A, B and C total price is $2,981,137.50
Located at Jefferson St. & Larkin Ave. retail corridor, one of the busiest intersections in Joliet.
Traffic Count is 26,200 on Jefferson St and Larkin is 28,400
Lot Size: 7.95 acres

