940 E. Main Street, Palmyra, PA, 17078
940 E. Main Street
Palmyra, PA 17078
Highlights
Description
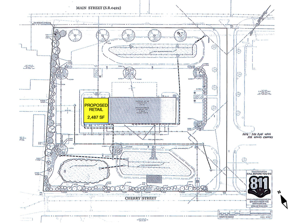
High-visibility retail pad site located along Route 422 in the heart of Palmyra, PA – one of the last remaining pad opportunities in this established corridor. The ±0.06-acre pad is approved for a ±2,400–2,487 SF building, offering an efficient footprint ideal for QSR, coffee, service retail, or boutique users seeking strong traffic counts and immediate market presence.
High-visibility retail pad site located along Route 422 in the heart of Palmyra, PA – one of the last remaining pad opportunities in this established corridor. The ±0.06-acre pad is approved for a ±2,400–2,487 SF building, offering an efficient footprint ideal for QSR, coffee, service retail, or boutique users seeking strong traffic counts and immediate market presence.
A high profile and convenient location along E. Main Street (Rt 422). The site is surrounded by national retailers, shopping plazas and near residential properties.
Documents
NAI CIR - 940 E. Main St - SALE or LEASEUnits for Lease
Price Per Sqft/Month: $65000.00

