Blue Angel Crossing - Pensacola, FL
50 S Blue Angel Parkway
Pensacola , FL 32506
FOR LEASE
Property Type:
Community CenterAmount:
Please Call Broker for PriceLast Verified:
Mar 13, 2026Daily Email Blast
0 times
Highlights
- Well located Winn-Dixie Anchored Shopping Center near Navy Base
- 26,000 SF box space available in 2026
- Great access and frontage on Blue Angel Pkwy & Hwy 98 West with ADT: 20,550
- Across from new Publix
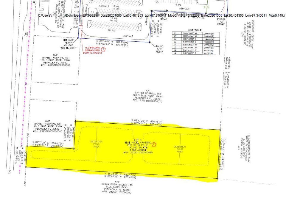
- 3.38 +/- AC detention pond out pad available for ground lease.
- Blue Angel Crossing website Link: https://www.realestatesoutheast.com/properties/?propertyId=Blue-Angel-Pensacola
Description
Blue Angel Crossings is well located with great access and visibility from Hwy. 98 & Blue Angel Pkwy (20,000+ cars per day). Anchored by a high performing Winn Dixie, co-tenants include Subway, GNC, Fusion Liquors, UPS, Fantastic Sams, Starlight Nails, Rock N' Roll Sushi and Jin Jin Chinese.
26,000 SF Box space available 2026.
3.38 +/- AC detention pond out pad available for ground lease.
Blue Angel Crossing is well located with great access and visibility from Hwy. 98 & Blue Angel Pkwy (20,000+ cars per day). Anchored by a high performing Winn Dixie, co-tenants include Subway, GNC,
Fusion Liquors, UPS, Fantastic Sams, Starlight Nails, Rock N' Roll Sushi and Jin Jin Chinese.
Near Navy Base and new Publix.
Building Size: 68045sq ft
Lot Size: 0 acres
Documents
AEI #440812 Pensacola, FL (Blew 21-4124.01) REV 9.21.2021.pdfSurvey Blue Angel.JPG
Lease Brochure (L)
Survey for Lot 8_Blue Angel_8.27.2021.pdf
Units for Lease
50 S Blue Angel Pkwy, Pensacola, FL 32506 (copy)
Space Available: 26000 SF
Lease Type: NNN
Price Per Sqft/Year: $8.00 - $10.00
S Blue Angel Parkway
Space Available: 147232 SF
Lease Type:
Price Per Sqft/Month: $150000.00 - $200000.00

