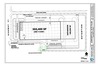
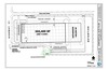
Build to Suit Warehouse
Mobile Highway
Montgomery, AL 36108
Highlights
- High Activity throughout the Southeast
- Just 3 miles from I-65
- Fantastic Location
Description
Seeking long-term tenant for a new 29.7 (+/-) acre site with a proposed build to suit warehouse situated at the corner of Coca Cola Road and Mobile Highway in front of Coca Cola Bottling. Fantastic location in Industrial Park where business/development is booming! Demand has spurred several developments along Mobile Highway including the new 160 acre Amazon distribution facility, a new 50 acre FedEx facility, the 272 acre Container Terminal near Hyundai plant and other major existing clients. Convenient to I-65 this is a prime location for warehouse/distribution trucking terminal operations.
Centrally located in the Southeastern US, Montgomery is an ideal logistics hub due to its proximity to the Port of Mobile and direct railway and interstate access with I-65 and I-85 running through the region.
Situated less than one mile from the Montgomery Intermodal Container Transfer Facility location.
Just 4 miles from Montgomery Regional Airport
Documents
Distribution Center Lease BrochureTrucking Terminal Lease Brochure
WH Distribution Concepts A-C.pdf

