Freedom Pointe
Veterans Boulevard
Liberty Township, OH 45044
FOR SALE
FOR LEASE
Property Type:
Free Standing BuildingAmount:
Please Call Broker for PriceLast Verified:
Nov 13, 2025Daily Email Blast
0 times
Highlights
Description
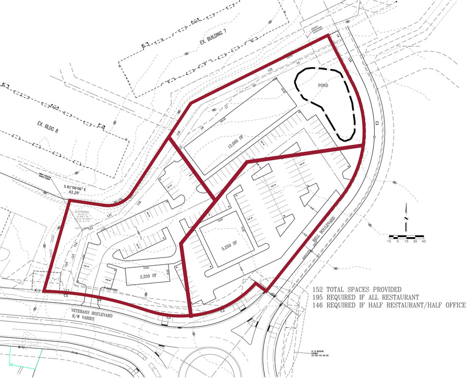
3 1-acre parcels for sale across from Costco in Liberty Township.
3 Parcels for sale – each approximately 1 acre
OR 3 buildings available for lease:
Outlot 1: Restaurant w/ Drive Thru | up to 2,250 SF
Outlot 2: Restaurant | 5,000 – 5,250 SF
Strip Center: Retail / Restaurant | 11,800 – 12,000 SF
Located in highly desirable Liberty Township retail corridor
Across from brand new Costco development & Christ Hospital Medical Center
Quick access to I-75 and OH-129
Located in highly desirable Liberty Township retail corridor
Across from brand new Costco development & Christ Hospital Medical Center
Quick access to I-75 and OH-129
Building Size: 19050sq ft
Lot Size: 3.62 acres
Documents
Liberty Township - Freedom Pointe Brochure with Pricing.pdfUnits for Lease
Outlot 1
Space Available: 2250 SF
Lease Type:
Outlot 2
Space Available: 5250 SF
Lease Type:
Strip Center
Space Available: 12000 SF
Lease Type:

