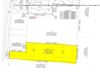
Lot 8 S Blue Angel Parkway with Detention Ponds
S Blue Angel Parkway
Pensacola, FL 32506
FOR SALE
FOR LEASE
Property Type:
Other LandAmount:
$475,000
Last Verified:
Feb 20, 2026Daily Email Blast
0 times
Highlights
Description
3.38 AC lot with frontage along S Blue Angel Parkway and 2 detention ponds available for sale ($475,000) or lease $125,000 / year.
See property information link: https://realestatesoutheast.com/home/properties/?propertyId=Pensacola-outparcel-sale
3.38 AC lot with frontage along S Blue Angel Parkway and 2 detention ponds available for sale $475,000 or lease $125,000 / year.
Frontage along S Blue Angel, just south of Winn Dixie just south of Hwy. 98. Wooded lot with 2 detention ponds on property.
Lot Size: 3.38 acres
Documents
Survey for Lot 8_Blue Angel_8.27.2021.pdfEscambia County, FL - Lot 8 Blue Angel.pdf
Units for Lease
Lot 8 S Blue Angel Parkway
Space Available: 147232 SF
Lease Type:
Price Per Sqft/Month: $150000.00 - $250000.00

