Ovid Commercial Vacant Lots - Located at M-21 & Hollister Road
Michigan 21
Ovid, MI 48866
FOR SALE
Property Type:
Commercial Land DevelopmentAmount:
Please Call Broker for PriceCap Rate:
0.00%Last Verified:
Sep 03, 2025Daily Email Blast
0 times
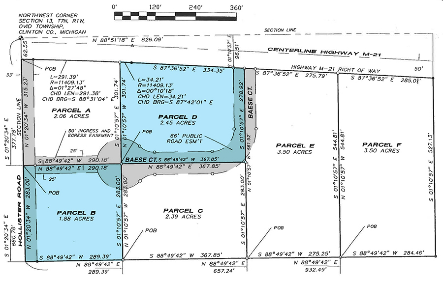
SALE PRICE PARCEL D: $124,900. SALE PRICE PARCEL B: $85,000
TWO PARCELS READY FOR DEVELOPMENT IN OVID, MICHIGAN
This offering is for two separate parcels bisected by the Baese Court access road off M-21. Parcel D is 2.45 Acres and features over 334’ feet of frontage on M-21 and Parcel B with 1.88 acres has 283’ of frontage on Hollister Road. Parcels are both commercially zoned, flat, cleared and ready to be developed.
Located on M-21 centered between the communities of
St Johns and Owosso with traffic counts up to ±9,000 VPD.
Parcel B sits on Hollister Road a Ovid main artery with 5,000
VPD that leads to the MMPA dairy plant (the Township’s largest
business). Located less than a mile from the center of Ovid and
adjacent to Journey Federal Credit Union, these high-profile sites
offer a wide range of commercial uses.

