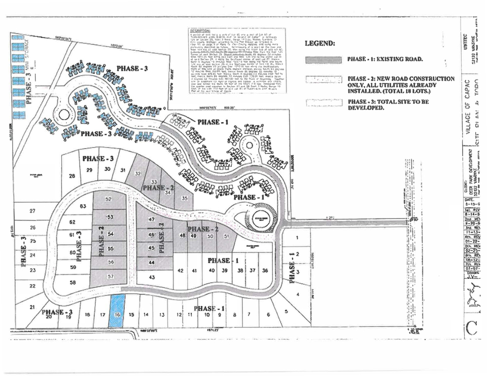
Partially Developed Residential Subdivision
Deer Park
Capac, MI 48014
FOR SALE
Property Type:
Residential Land DevelopmentAmount:
$656,000
Last Verified:
Nov 03, 2025Daily Email Blast
0 times
Highlights
- 80 Acres remaining
- 42 single-family lots - Phase 2 & 3
- 41 condominium units - Phase 3
- 250 mini self-storage units - Phase 3
- Brownfield Incentives for Housing Development
Description
Deer Park is a prime residential development site of 137+ acres in Capac, St Clair County, Michigan. 24 home units and 16-condo buildings with 48 units have been completed.
This property is located on the south border of the valley of Capac. The Village of Capac is located in St Clair County which is home to more than 163,000 residents. This property is conveniently located close to I-69 and M-53.
Lot Size: 80.0 acres
Documents
NEW Sale BrochureDeer Park Estates_Two Page Mailer.pdf

