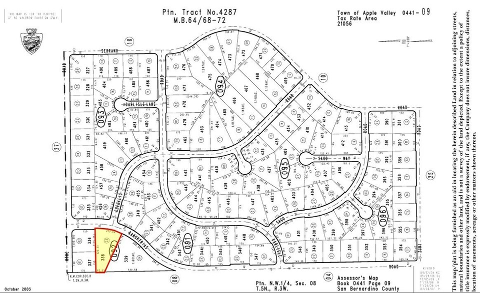
Rancherias Rd , Apple Valley, CA, 92307
Rancherias Rd
Apple Valley, CA 92307
Highlights
- Asking: $75,000
- APN: 0441-092-03
- SIZE: ±0.96 Acres
- ZONING: Multifamily (R-M)
Description
Apartment land suitable for development of up to 20 units per acre
Water, sewer, and power are all available at site
Prime location with abundant amenities for future residents
Quick access to major transportation routes
Price reduced for quick sale by motivated seller. All offers considered! ±1 acre of unimproved apartment land for sale on Rancherias Rd in Apple Valley; APN: 0441-092-03. Located just down the street from Apple Valley City Hall, this lot is zoned Multifamily (R-M) and permits up to 20 dwelling units per net acre. Water, sewer, and power are available at site. Nearby amenities include Super Target, Walmart, Albertsons, Starbucks, Dollar Tree, Ross Dress for Less, McDonalds, Del Taco, Jack in the Box, Cold Stone Creamery, Fresh Wok, Panda Express, and more. Apple Valley is home to Brightline West’s future High Speed Rail Station and maintenance yard, breaking ground in 2025 and operational by 2028. Connecting Downtown Los Angeles to the Las Vegas Strip. The project will bring an estimated 10,000 jobs. Buyer to verify all information contained herein. Agent and their representatives are not responsible for the accuracy of these claims.

