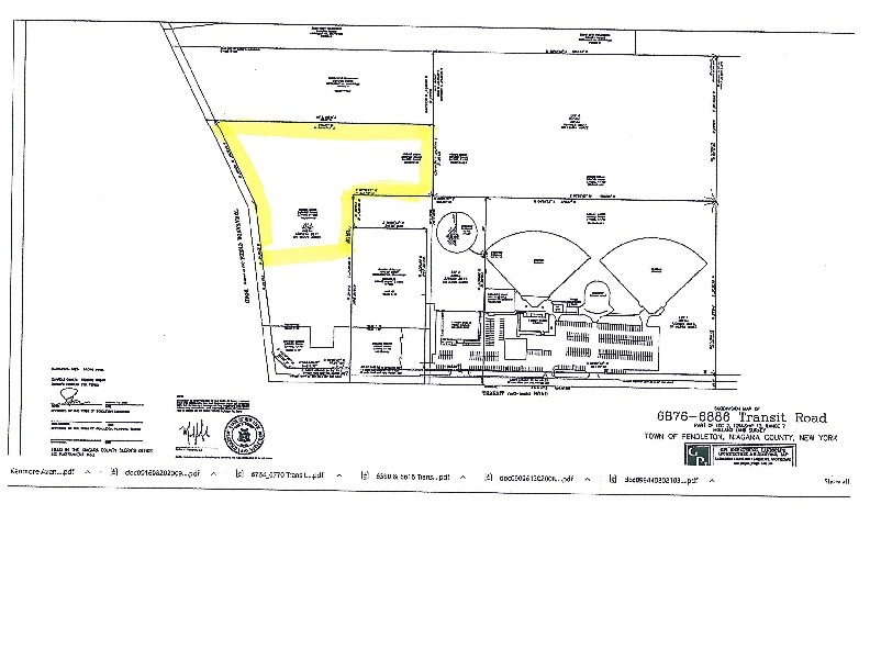
Transit Rd & Tonawanda Creek Rd - 6.3+/- Acres Approved For Apartment Development Site
Transit Road and Tonawanda Creek Road
Pendleton, NY 14094
Highlights
- Zoned Multi-Family and Approved with all building plans and permits for 40 Apartments
- Excellent Development Opportunity
- 6.3 +/- Acres
- 2.79+/- Acres available on Southwest corner zoned Commercial
Description
646' +/- Frontage on Tonawanda Creek Rd with 960 +/- FT of Irregular Depth. This 6.3+/- Acres is just west 400+/- FT off the corner of Transit Road. Building plans and all permits in place to construct 5 buildings two-story each with 8 apartments in each, for a total of 40 apartments. Also available for an additional amount 2.79+/- acres of Vacant Land on the Southwest corner of Transit Road and Tonawanda Creek Road, with the potential to build apartment buildings or Commercial uses.
Located 0.5 mile North of Millersport Highway in the town of Amherst. Excellent visibility, high traffic volume, over 30,000 cars daily. Development in the area consists of retail outlets, automobile dealerships, restaurants, hotels, gasoline service stations, banks, apartments, office buildings, and residences. Northwest corner of Transit Road and Tonawanda Creek Road. Some of these businesses include New York Beer Project Bar and Restaurant, and Dollar General. Newly expanded and remodeled Niagara Produce Grocery Market across Transit Road and the Northwest Corner of Transit Road and Tonawanda Creek Road.

