Transload Industrial Site
Transload Dr
Richland, MS 39218
Highlights
- Shovel-ready flat industrial site
- Outstanding access and visibility
- Transload and rail access
- Business-friendly location
Description
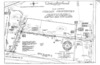
This property now features approximately 12.44 remaining acres of industrial land which benefits from rail, utility, and improved road access. The site is divided into two sections with Old Hwy 49 frontage and direct visibility from Interstate 20 with only the Southern parcel remaining available at this time. This site represent an opportunity to acquire an exceptional tract of industrial land which is ready for development in a business friendly and outstanding location. The property is also neighboring the Kansas City Southern transload center which could enable easy rail and/or transloading access. Economic development incentives may be available at this location.
Highly accessible and extremely well located shovel-ready industrial site ready for development. This property is strategically located within a stone’s throw of the most prominent intersection in the state of Mississippi. The site offers immediate access to Interstate 20, Interstate 55, and Highway 49. The property is located within the Richland, Mississippi industrial district in Rankin County which if often considered to be one of the most desirable industrial locations within the Jackson MSA.

