W National Road
W National Road
Englewood, OH 45322
FOR SALE
Property Type:
Other LandAmount:
$1,350,000
Last Verified:
Jun 13, 2025Daily Email Blast
0 times
Highlights
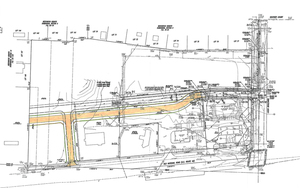
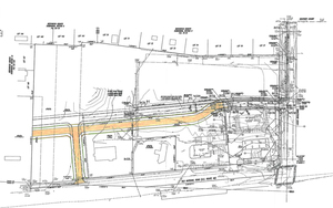
- Located in Englewood, Ohio, on the corner of W National Rd. and Union Blvd.
- Property has two curb cuts with 475' of frontage on W National Rd.
- Zoned: C-3 in the City of Englewood.
Description
Located in Englewood, Ohio, on the corner of W National Rd. and Union Blvd.
Property has two curb cuts with 475' of frontage on W National Rd.
Zoned: C-3 in the City of Englewood.
Englewood is a city in Montgomery County and is a northern suburb of Dayton. Based on the 2010 census there are 13,465 people, 5,555 households, and 3,687 families residing in the city. The population density is 2,055.7 inhabitants per square mile. There are 5,898 housing units at an average density of 900.5 per square mile.
Building Size: 0sq ft
Lot Size: 10.89 acres

